Foto: Divulgação
Receba todas as notícias gratuitamente no WhatsApp do Rondoniaovivo.com.

.jpeg)
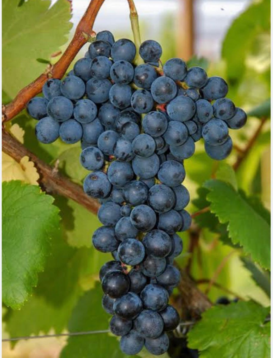
A uva tinta Saperavi é uma variedade nativa da República da Geórgia, conhecida pela notável cor e acidez que pode acrescentar em vinhos de corte. Trata-se de uma das uvas tintas mais importante e cultivada da Geórgia.
Quando utilizada na elaboração de vinhos varietais, a uva Saperavi dá origem a exemplares com excelente capacidade de envelhecimento dentro da garrafa.
Sobre a uva Saperavi

Essa variedade de uva é conhecida pela coloração escura que apresenta, visto que Saperavi significa tinta ou corante, no dialeto georgiano. Além disso, essa casta dá origem a vinhos com coloração densa, elevados níveis de acidez e aromas complexos. Ou seja, a Saperavi é um dos poucos tipos de uvas que apresenta coloração vermelha dentro e fora, isto é, na polpa e na pele.
Vinho Empírico Saperavi

Apriori Wine é uma das mais conceituadas vinícolas da Moldávia, possui um excelente Terroir e mão de obra super qualificada. A vinícola mistura antigas tradições com equipamentos modernos e avançados alcançando ótimos resultados em seus exemplares. O vinho em questão é um exótico varietal elaborado a partir da principal variedade georgiana, a Saperavi, casca e baga escura de grande longevidade. Este vinho, campeão de importantes concursos internacionais.
.jpeg)
* O resultado da enquete não tem caráter científico, é apenas uma pesquisa de opinião pública!