Foto: Reprodução
Receba todas as notícias gratuitamente no WhatsApp do Rondoniaovivo.com.
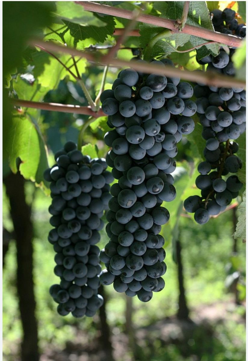
Características da uva Bonarda
.jpeg)
Uma característica de destaque da uva Bonarda é a facilidade de sua adaptação a diferentes terroirs, embora seu cultivo não seja exatamente dos mais simples. Boa parte dos vinhedos que cultivam esta uva tinta localizam-se a leste de Mendoza, em regiões conhecidas por serem mais quentes, já que a Bonarda tem um ciclo de amadurecimento extenso, demandando mais dias de sol e calor neste período.
Uva Bonarda produz ótimos vinhos
Cor rubi, vermelho forte, com tons em violeta e roxo, aroma de frutas vermelhas como amora, morango, framboesa, ameixa e cereja. Costuma agradar os apreciadores iniciantes, por ser um vinho fácil, de textura macia e sedosa, a temperatura ideal para ir à taça varia de 15 e 18°C.

No passado, esta cepa chegou a sofrer rejeição porque supostamente gerava vinhos de baixa qualidade, mas nos últimos anos, com o aperfeiçoamento e com a implantação de novos métodos de plantio, manuseio e produção, a fama do Bonarda mudou bastante. Até por conta deste detalhe, a uva costumava ser utilizada mais em cortes para ajustar e equilibrar alguns vinhos. Hoje em dia, é possível encontrar ótimos rótulos 100% Bonarda, como é o caso do Partridge Gran Reserva Bonarda 2017, amadurecido por 18 meses em barricas novas de carvalho 90% franceses e 10% americanos.
.jpeg)
* O resultado da enquete não tem caráter científico, é apenas uma pesquisa de opinião pública!